Страница 41 - ПОДДЕРЖКА ПОТРЕБИТЕЛЕЙ И СЕРВИСНОЕ
СОДЕРЖАНИЕ 1. СВЕДЕНИЯ ПО ТЕХНИКЕ БЕЗОПАСНОСТИ...............................................42 2. УКАЗАНИЯ ПО БЕЗОПАСНОСТИ................................................................. 44 3. ОПИСАНИЕ ИЗДЕЛИЯ................................................................................... 46 4....
Страница 42 - возможностями; Общие правила техники безопасности
1. СВЕДЕНИЯ ПО ТЕХНИКЕ БЕЗОПАСНОСТИ Перед установкой и эксплуатацией прибора внимательно ознакомьтесь с приложенным руководством. Производитель не несет ответственность за какие-либо травмы или ущерб, возникшие вследствие неправильной установки или эксплуатации. Всегда храните данное руководство под...
Страница 44 - УКАЗАНИЯ ПО БЕЗОПАСНОСТИ; электросети
2. УКАЗАНИЯ ПО БЕЗОПАСНОСТИ 2.1 Установка • Удалите всю упаковку и вывинтите транспортировочные болты. • Не устанавливайте и не подключайте прибор, имеющий повреждения. • Не устанавливайте и не эксплуатируйте прибор в помещениях с температурой ниже 0°C. • Следуйте приложенным к прибору инструкциям п...
Страница 48 - тестирующих организаций; Режим выбора программы; и пользовательский режим
Программа Степень загрязненнос ти Тип загрузки Этапы программы Показатели потребления 1) Продол жительн ость (мин) Энергоп отребле ние (кВт·ч) Вода (л) 5) Все • Предварите льная мойка 14 0.1 4 1) Указанные показатели могут изменяться в зависимости от давления и температуры воды, напряжения в электро...
Страница 49 - Смягчитель для воды; Установка смягчителя для
6.2 Смягчитель для воды Смягчитель для воды удаляет из подаваемой в прибор воды минеральные вещества, которые в противном случае могли бы оказать вредное влияние на результаты мойки и на сам прибор.Чем больше в воде содержится таких минеральных веществ, тем выше жесткость воды. Жесткость воды измеря...
Страница 50 - Звуковая сигнализация; Включение звукового сигнала; ПЕРЕД ПЕРВЫМ ИСПОЛЬЗОВАНИЕМ
не загорится постоянным светом. 2. Дождитесь, пока индикатор не погаснет, а индикатор не начнет мигать. Индикатор продолжит мигать. Прерывистоемигание индикатора индицирует текущий уровень настройки. • Например, 5 миганий + пауза + 5 миганий = уровень 5. 3. Для изменения установки несколько раз нажм...
Страница 51 - Заполнение дозатора; ополаскивателя
этом кажется, что прибор не работает. Этап мойки начнется, как только данная процедура будет завершена. Процедура будет повторяться с определенной периодичностью. 7.1 Емкость для соли ОСТОРОЖНО! Используйте только соль, специально предназначенную для посудомоечных машин. Соль используется для «заряд...
Страница 52 - ЕЖЕДНЕВНОЕ ИСПОЛЬЗОВАНИЕ; Использование моющего; средства
2. Налейте ополаскиватель в дозатор (A) так, чтобы уровень жидкости достиг отметки «Макс». 3. Во избежание избыточного пенообразования удалите пролившийся ополаскиватель тканью, хорошо впитывающей жидкость. 4. Закройте крышку. Убедитесь, что кнопка блокировки защелкнулась. Селектор количества выдава...
Страница 53 - Настройка и запуск
8.3 Настройка и запуск программы Запуск программы 1. Приоткройте дверцу прибора. 2. Включите прибор нажатием на кнопку «Вкл/Выкл». Убедитесь, что прибор находится в режиме выбора программы. 3. Нажимайте на кнопку выбора программ до тех пор, пока не загорится индикатор требуемой программы. 4. Закройт...
Страница 55 - программы; Очистка фильтров
• Легкие предметы укладывайте в верхнюю корзину. Убедитесь, что посуда не двигается. • Прежде чем запускать программу, убедитесь, что разбрызгиватели могут свободно вращаться. 9.5 Перед запуском программы Убедитесь, что:• Фильтры очищены и установлены должным образом. • Крышка емкости для соли плотн...
Страница 56 - разбрызгивателей; Очистка наружных; поверхностей
2. Извлеките фильтр (C) из фильтра (B). 3. Снимите плоский фильтр (A). 4. Вымойте фильтры. 5. Убедитесь, что внутри или по краям отстойника нет остатков пищи или других загрязнений. 6. Установите обратно на место плоский фильтр (A) Убедитесь, что он установлен правильно – под двумя направляющими. 7....
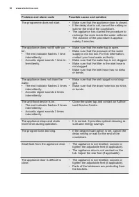
Страница 57 - Чистка внутренних; частей; ПОИСК И УСТРАНЕНИЕ НЕИСПРАВНОСТЕЙ
• Не используйте абразивные средства, царапающие губки и растворители. 10.4 Чистка внутренних частей • Тщательно очистите прибор, включая резиновый уплотнитель дверцы, мягкой влажной тряпкой. • При регулярном использовании программ с малой продолжительностью внутри прибора могут откладываться наслое...
Страница 60 - Результаты мойки и сушки неудовлетворительны
11.1 Результаты мойки и сушки неудовлетворительны Неисправность Возможная причина неисправности и способ ее устранения Неудовлетворительные результаты мойки. • См. Главы «Ежедневное использование», «Указания и рекомендации» и брошюру, описывающую загрузку корзин. • Используйте программы более интенс...
Страница 62 - ТЕХНИЧЕСКИЕ ДАННЫЕ; ОХРАНА ОКРУЖАЮЩЕЙ СРЕДЫ
Неисправность Возможная причина неисправности и способ ее устранения Сколы, обесцвечивание или помутнение столовых приборов. • Мойте в приборе только посуду, пригодную для мытья в посудомоечных машинах. • Будьте внимательны при загрузке и разгрузке корзины. Сверяйтесь с брошюрой, описывающей загрузк...